Bewertung gespeichert!
Diese Info sehen nur Sie
Kommentar gespeichert!
Fügen Sie eine bewertung bzw. Einen Kommentar zu dieser Anzeige hinzu. Nurfür Sie sichtbar

Wohngrundstück in Levantina - Montgavina - Quintmar Sitges

  • 1.491 m2
  • 322 €/m2

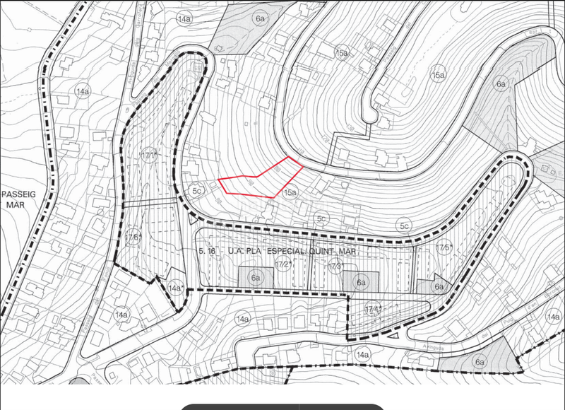
Parcela de terreno, solar, señalada con el número VEINTICUATRO, de la manzana B1, de la Urbanización Quint-Mar, de SITGES, con frente a la AVENIDA GARROFERS, Número 42. Tiene una total SUPERFICIE de mil quinientos treinta y siete metros, cuarenta y siete decímetros cuadrados. LINDA: norte, en dos líneas de veintiocho metros ochenta centímetros y cuarenta y cuatro metros cincuenta y cinco centímetros, parcela número 23 de la misma manzana; sur, en línea de cincuenta y un metros dieciocho centímetros, parcelas número 43, 44, 45 y 46 de la misma manzana; este, en línea de dieciséis metros, Avenida de situación y en línea de treinta y siete metros ochenta y dos centímetros, parcela número 25; oeste, en línea de quince metros veintisiete centímetros, parcelas número 47 y 48 de la misma manzana.

letzte Änderung

Aufteilung

  • Fläche 1491 m2
Inserat: 15471000068574

Lage

Levantina - Montgavina - Quintmar

Karte anklicken, um sich darauf zu bewegen
Sollen wir Ihnen mitteilen, wenn ein Inserat wie dieses veröffentlicht wird? Legen Sie Ihre Benachrichtigungen an und wir informieren Sie per E-Mail über neue und geänderte Inserate
 

Kontaktieren iad ESPAÑA

Referenz der Anzeige habitaclia/153950:

Die Telefonnummer wird angezeigt after sending your contact to the announcer to attend you.
Die Telefonnummer wird nach Kontakt angezeigt
Sending...