Bewertung gespeichert!
Diese Info sehen nur Sie
Kommentar gespeichert!
Fügen Sie eine bewertung bzw. Einen Kommentar zu dieser Anzeige hinzu. Nurfür Sie sichtbar
39.000 € Benachrichtigen, wenn sinkt
ist gesunken 7.000 €

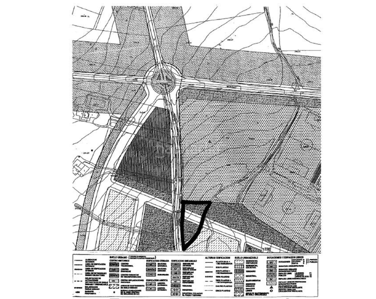
Wohngrundstück in Norte Mérida

del Lago

  • 2.095 m2
  • 19 €/m2

NO COBRAMOS COMISIÓN DE INTERMEDIACIÓN AL COMPRADOR

Excelente oportunidad de adquirir este suelo urbanizable residencial ubicado en Mérida (Badajoz).

Muy bien comunicado en una de las vías principales de acceso a Mérida. A pocos metros del Anfiteatro y Estadio Romano. Entre los principales puntos de interés se encuentra el conjunto arqueológico de Mérida, declarado Patrimonio de la Humanidad. Este conjunto incluye el Teatro Romano, el Anfiteatro Romano, el Circo Romano y el Puente Romano. Además de su patrimonio romano, cuenta con otros atractivos, como la Alcazaba Árabe, un imponente castillo que domina el paisaje urbano, y la Basílica de Santa Eulalia, un magnífico ejemplo de arquitectura visigoda. La ciudad también alberga diversos museos, como el Museo Nacional de Arte Romano, que exhibe una importante colección de arte y objetos romanos. Dispone de todos los servicios públicos o privados necesarios como pequeño comercio de proximidad, supermercados, centros educativos y gran oferta gastronómica.

- Residencial (viviendas protegidas): 3ud. - 272,48m²
- Residencial (viviendas libres de primera residencia): 4ud. - 408,70m²
- Alturas permitidas: 5 alturas en bloques plurifamiliares exentos, 2 alturas sobre rasante en viviendas unifamiliares adosadas y 1 planta bajo rasante para aparcamiento.

- Referencia catastral: 9828703QD2192N0001SF

Hipoges es una plataforma inmobiliaria donde podrás acceder a miles de activos inmobiliarios de diferentes tipos como viviendas, locales comerciales, terrenos, nueva obra, tanto a nivel particular como para inversores. Hipoges cuenta con una amplia cartera de activos inmuebles tanto en España como en Portugal y Grecia.

¿Necesitas financiación? Te ofrecemos la posibilidad de financiaciones de hasta el 100% para la compra de este inmueble. Entra en Finanwin.com, haz tu simulación y obtén la mejor oferta para tu Hipoteca de la manera más ágil y sencilla.

letzte Änderung

Aufteilung

  • Fläche 2095 m2
Inserat: 52792000005363

Lage

Norte del Lago

Karte anklicken, um sich darauf zu bewegen
Sollen wir Ihnen mitteilen, wenn ein Inserat wie dieses veröffentlicht wird? Legen Sie Ihre Benachrichtigungen an und wir informieren Sie per E-Mail über neue und geänderte Inserate
 

Kontaktieren Hipoges

Referenz der Anzeige habitaclia/SBRE-0180156 :

Die Telefonnummer wird angezeigt after sending your contact to the announcer to attend you.
Die Telefonnummer wird nach Kontakt angezeigt
Sending...