Bewertung gespeichert!
Diese Info sehen nur Sie
Kommentar gespeichert!
Fügen Sie eine bewertung bzw. Einen Kommentar zu dieser Anzeige hinzu. Nurfür Sie sichtbar

Wohngrundstück in calle lomo márquez 40 in Icod El Alto Realejos (Los)

Calle Lomo Márquez 40

  • 1.248 m2
  • 45 €/m2

Oportunidad UNICA...

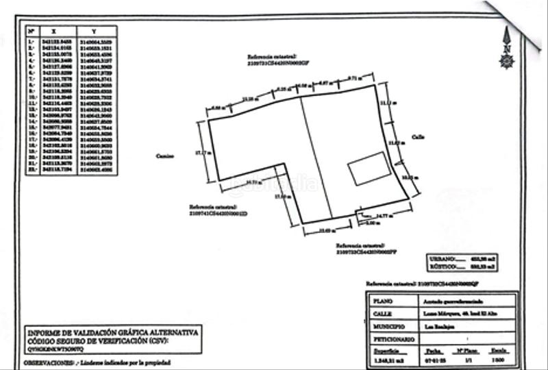
**Terreno en Venta en Icod el Alto - Oportunidad Única**
Descubre este impresionante terreno en venta ubicado en la calle Lomo Márquez, Icod el Alto. Con una superficie total de 1.248 m², este espacio ofrece la combinación perfecta entre un solar urbano de 656 m² y un terreno rústico de 592 m². La edificación antigua de 65 m² añade un toque de historia a este lugar, ideal para quienes buscan construir la casa de sus sueños en un entorno tranquilo y rodeado de naturaleza.
Imagina disfrutar de magníficas vistas mientras construyes una vivienda de varias alturas. La ubicación es inmejorable, a solo 150 metros de la carretera general de Icod el Alto y con fácil acceso a la TF-5. Además, el terreno cuenta con servicios de agua, luz, teléfono y alumbrado público en el entorno, lo que facilita cualquier proyecto que tengas en mente.
Este terreno no solo es perfecto para construir una residencia unifamiliar o chalets, sino que también representa una excelente oportunidad de inversión en Los Realejos. La cercanía a zonas comerciales, bancarias, estudiantiles, deportivas y asistenciales hace que este lugar sea aún más atractivo. No dejes pasar esta oportunidad única de crear el hogar que siempre has deseado en un entorno privilegiado. ¡Contáctanos y ven a verlo! . (Datos expuestos meramente orientativos e informativos, pudiendo contener errores u omisiones, sin valor contractual, impuestos y gastos de transmisión no incluidos)...

letzte Änderung

Aufteilung

  • Fläche 1248 m2
Inserat: 41764000000138

Lage

Icod El Alto Calle Lomo Márquez 40

Karte anklicken, um sich darauf zu bewegen
Sollen wir Ihnen mitteilen, wenn ein Inserat wie dieses veröffentlicht wird? Legen Sie Ihre Benachrichtigungen an und wir informieren Sie per E-Mail über neue und geänderte Inserate
 

Kontaktieren Inmobiliaria Conde

Referenz der Anzeige habitaclia/TIA/DL-0725/55:

Die Telefonnummer wird angezeigt after sending your contact to the announcer to attend you.
Die Telefonnummer wird nach Kontakt angezeigt
Sending...