Bewertung gespeichert!
Diese Info sehen nur Sie
Kommentar gespeichert!
Fügen Sie eine bewertung bzw. Einen Kommentar zu dieser Anzeige hinzu. Nurfür Sie sichtbar

Wohngrundstück in calle katherine freese 15 in Calicasas

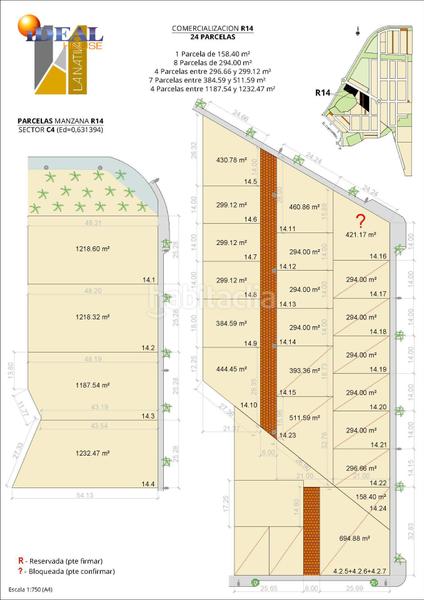
Calle KATHERINE FREESE 15

  • 200 m2
  • 180 €/m2

URBANIZACIÓN LA NATIVA, UN ESTILO DE VIDA

A7094A3 .Descubre La Nativa, el lugar donde empieza todo. La exclusividad y la naturaleza se fusionan para ofrecerte una calidad en el inigualable día a día. Aquí no solo compras un terreno, compras un estilo de vida.
Parcelas amplias con vistas panorámicas a Sierra Nevada en un entorno y ubicación privilegiado, pero todo ello sin renunciar a la comodidad de estar a un paso de todo.
Imagina el hogar que siempre has soñado en un entorno único y exclusivo, despertar cada día con estas vistas y rodeado de naturaleza, disfrutar de total privacidad y tener la libertad de diseñar tu propia vivienda a tu gusto.
Disponemos de diferentes parcelas para que elijas la que mejor se adapte a ti y hagas la casa de tus sueños.
Excelentes conexiones y servicios a tu alcance.
A tan solo unos minutos de Granada, pero con la paz de un refugio privado.
Agenda tu visita y descubre por qué La Nativa marcará un antes y un después en la manera de vivir en Granada.
Vívelo en persona, ven a conocer La Nativa y siente la diferencia de la que es y será la mejor urbanización de Granada sin ningún tipo de duda.
Reserva tu cita hoy. Las mejores parcelas se venden rápido.
NOTA: El PVP indicado no incluye ni impuestos ni gastos de escritura, las superficies indicadas tienen carácter descriptivo y son aproximadas.

letzte Änderung

Aufteilung

  • Fläche 200 m2
Inserat: 22108000018105

Lage

Calle KATHERINE FREESE 15

Karte anklicken, um sich darauf zu bewegen
Sollen wir Ihnen mitteilen, wenn ein Inserat wie dieses veröffentlicht wird? Legen Sie Ihre Benachrichtigungen an und wir informieren Sie per E-Mail über neue und geänderte Inserate
 

Kontaktieren IDEAL HOUSE

Referenz der Anzeige habitaclia/V7094A3 :

Die Telefonnummer wird angezeigt after sending your contact to the announcer to attend you.
Die Telefonnummer wird nach Kontakt angezeigt
Sending...