Bewertung gespeichert!
Diese Info sehen nur Sie
Kommentar gespeichert!
Fügen Sie eine bewertung bzw. Einen Kommentar zu dieser Anzeige hinzu. Nurfür Sie sichtbar

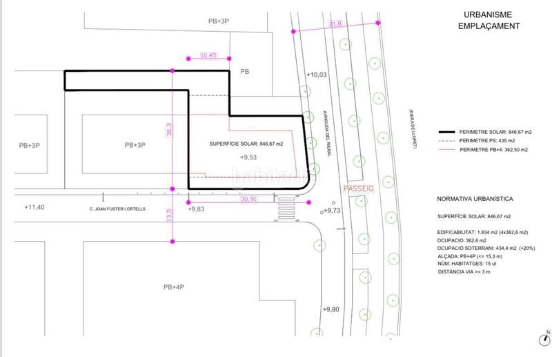
Wohngrundstück in El Molí-El Rieral Lloret de Mar

  • 846 m2
  • 1.300 €/m2

Terreno urbano en Lloret de Mar con proyecto

Oportunidad Terreno urbanitzable en Lloret de Mar a zona El Rieral de mucho interes i gran demanda interés i demanda

Terrenos con orientación a sud juntos colegios y gimnasio municipal

Gran Demanda en la zona de perfil mediano alto.

2235 m2 te techo edificable [IW]

Den Inserenten um mehr Informationen bitten

letzte Änderung

Aufteilung

  • Fläche 846 m2
Inserat: 31514000001057

Lage

El Molí-El Rieral

Karte anklicken, um sich darauf zu bewegen
Sollen wir Ihnen mitteilen, wenn ein Inserat wie dieses veröffentlicht wird? Legen Sie Ihre Benachrichtigungen an und wir informieren Sie per E-Mail über neue und geänderte Inserate
 

Kontaktieren SERRA EXCLUSIVES

Referenz der Anzeige habitaclia/SOL0167:

Die Telefonnummer wird angezeigt after sending your contact to the announcer to attend you.
Die Telefonnummer wird nach Kontakt angezeigt
Sending...