Bewertung gespeichert!
Diese Info sehen nur Sie
Kommentar gespeichert!
Fügen Sie eine bewertung bzw. Einen Kommentar zu dieser Anzeige hinzu. Nurfür Sie sichtbar

Wohngrundstück in Vidiago-Pendueles-Tresgrandras Llanes

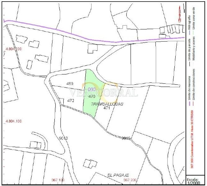
  • 1.279 m2
  • 42 €/m2

Finca edificable de 1.279m en Pie La Sierra.

Veri Corral Inmobiliaria pone a la venta esta bonita parcela situada en Pie de La Sierra, en un precioso y tranquilo entorno rural.
La parcela, cuenta con una superficie de unos 1.279 m² rodeada de árboles y praderas. Un entorno muy bonito y tranquilo en plena naturaleza.
Pie de la Sierra, a unos 120 de metros de altitud, dista 15 kilómetros de la Villa de Llanes.
Si desea más información, no dude en ponerse en contacto con nosotros o visítenos en Calle Las Barqueras nº10, Llanes.

Den Inserenten um mehr Informationen bitten

letzte Änderung

Aufteilung

  • Fläche 1279 m2
Inserat: 30565000003586

Lage

Vidiago-Pendueles-Tresgrandras Pielasierra

Karte anklicken, um sich darauf zu bewegen
Sollen wir Ihnen mitteilen, wenn ein Inserat wie dieses veröffentlicht wird? Legen Sie Ihre Benachrichtigungen an und wir informieren Sie per E-Mail über neue und geänderte Inserate
 

Kontaktieren VERI CORRAL INMOBILIARIA

Referenz der Anzeige habitaclia/F251:

Die Telefonnummer wird angezeigt after sending your contact to the announcer to attend you.
Die Telefonnummer wird nach Kontakt angezeigt
Sending...