Favorito y comentario
Wohngrundstück in Hontoba
Main characteristics
- 3 m2
- 11.633 €/m2
Detailed information
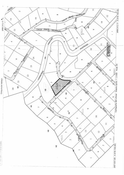
PARCELA URBANA EN EL MIRADOR DE HONTOBA
Parcela Urbanizable en El mirador de Hontoba de 2.829 m² (2.782 m2 según catastro)y 481 m² EDIFICABLES según nota simple registral, salpicada de encimas con unas vistas maravillosas.
La urbanización está muy cerca de Pastrana, una población con un gran atractivo turística.
La parcela se encuentra en una URBANIZACIÓN CON TODOS LOS SERVICIOS, PISCINA COMUNITARIA, CENTRO SOCIAL, BAR RESTAURANTE, INSTALACIONES DEPORTIVAS.
ENTORNO TRANQUILO Y RESIDENCIAL.
MUY BUENAS COMUNICACIONES.
Construye tu casa soñada. De madera, modular, de construcción tradicional.....; ven a verla. CIERRA LOS OJOS e IMAGINA TU FUTURO HOGAR.
No dejes pasar este tren!!!!
Metros constatados según registro y catastro.
Este anuncio no es vinculante y puede contener errores. Se muestra a título informativo y no es contractual. En los precios de venta no están incluidos impuestos legales ni gastos de escrituración.
letzte Änderung
Aufteilung
- Fläche 3 m2
Gallery
Lage