Bewertung gespeichert!
Diese Info sehen nur Sie
Kommentar gespeichert!
Fügen Sie eine bewertung bzw. Einen Kommentar zu dieser Anzeige hinzu. Nurfür Sie sichtbar
331.000 € Benachrichtigen, wenn sinkt
ist gesunken 37.000 €

Wohngrundstück in Jove Gijón

  • 11.225 m2
  • 29 €/m2

NO COBRAMOS COMISIÓN DE INTERMEDIACIÓN AL COMPRADOR

Excelente oportunidad de adquirir en propiedad este suelo ( no consolidado) ubicado en la localidad de Gijón, provincia de Asturias. Con los siguientes datos:

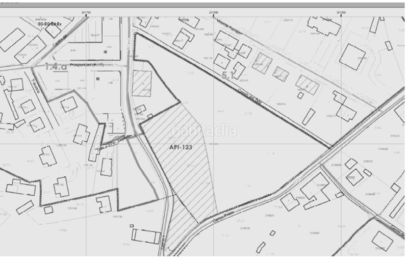
- Referencia catastral: 1951009TP8215S0001LU.
- Promoción inmobiliaria más probable: Se estima la construcción de 9 viviendas de 205 m2 aprox. con parcelas de 1.138 m2.
- Superficie catastral: 11.225 m2
- Superficie de suelo adoptada: 10.245 m2 resultado de descontar la zona medida sobre plano que no es edificable 990 m2 y queda una superficie de 10.245 m2.
- Edificabilidad: 2.045 m2 de residencial unifamiliar.
- Descontando Cesión del 10%: 2.045 x 0,90 = 1.840,50m2
- Se establece como hipótesis el desarrollo de un edificio en manzana cerrada de tres alturas sobre rasante, con planta baja de uso comercial y 2 plantas en altura de viviendas para 24 unidades y una planta bajo rasante para 36 plazas de aparcamiento.

Situado en la zona Oeste de la población, se trata de zona residencial totalmente consolidada con todos los servicios( instalaciones y centros deportivos, centros educativos, comercios, etc.) y a un paso de la playa del Arbeyal y del Puerto. El centro de Gijón queda a tan sólo 3,5 km, por lo tanto su ubicación es privilegiada.

Por lo tanto la promoción a desarrollar disfrutará de un entorno tranquilo, pero sin renunciar a todos los servicios, equipamientos y atractivos necesarios para una gran calidad de vida. Sus accesos, comunicaciones y transportes harán que tengas todo a tu alcance.

No lo dudes, invertir en el suelo que te ofrecemos será una apuesta segura.

Hipoges es una plataforma inmobiliaria donde podrás acceder a miles de activos inmobiliarios de diferentes tipos como viviendas, locales comerciales, terrenos, nueva obra... tanto a nivel particular como para inversores. Hipoges cuenta con una amplia cartera de activos inmuebles tanto en España como en Portugal y Grecia.




¿Necesitas financiación? Te ofrecemos la posibilidad de financiaciones de hasta el 100% para la compra de este inmueble. Entra en Finanwin.com, haz tu simulación y obtén la mejor oferta para tu Hipoteca de la manera más ágil y sencilla.

letzte Änderung

Aufteilung

  • Fläche 11225 m2
Inserat: 52792000005404

Lage

Jove CARLOS PRIETO

Karte anklicken, um sich darauf zu bewegen
Sollen wir Ihnen mitteilen, wenn ein Inserat wie dieses veröffentlicht wird? Legen Sie Ihre Benachrichtigungen an und wir informieren Sie per E-Mail über neue und geänderte Inserate
 

Kontaktieren Hipoges

Referenz der Anzeige habitaclia/SBRE-0180380:

Die Telefonnummer wird angezeigt after sending your contact to the announcer to attend you.
Die Telefonnummer wird nach Kontakt angezeigt
Sending...