Bewertung gespeichert!
Diese Info sehen nur Sie
Kommentar gespeichert!
Fügen Sie eine bewertung bzw. Einen Kommentar zu dieser Anzeige hinzu. Nurfür Sie sichtbar
90.000 € Benachrichtigen, wenn sinkt
ist gesunken 25.000 €

Wohngrundstück in Dos Hermanas 4 in Arco Norte - Avda España Dos Hermanas

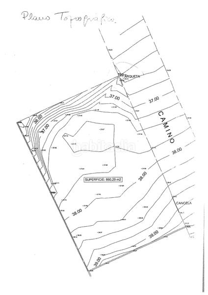
  • 850 m2
  • 106 €/m2

SE VENDE PARCELA URBANIZABLE EN URB. BUENAVISTA 850 M2 RECTANGULAR CON ESPECTACULARES VISTAS

Se vende parcela urbanizable de 850 m2 de superficie con fachada de 35.50 mt y 24 mt de profundidad cerrada con malla electrosoldada con puerta de acceso para vehículos. Tiene una edificabilidad máxima de 246,50 m2 y una ocupación en planta baja de 255 m2.La parcela dispone de arqueta de acometida de agua.
De comunidad se paga 50€/mes.
Disponemos de estudio geotécnico de la parcela para la ejecución de la cimentación y proyecto básico de chalet realizado por arquitecto cualificado.
Destaca la ubicación de la parcela dentro de la urbanización Buenavista, enclavada en lo alto de una loma con vistas espectaculares de Sevilla y del Aljarafe.
Con orientación suroeste, es una parcela con buena luminosidad, y por su morfología rectangular y gran fachada permite un gran aprovechamiento del espacio de la finca.
La parcela tiene buen acceso desde la carretera que une Sevilla con Dos Hermanas, y destaca su proximidad al barrio de Bellavista, el cual ofrece todo tipo de servicios, comercios, colegios de educación primaria y secundaria, centro sanitario, hospital público y privado, etc.

Informamos a nuestros clientes que el precio de venta no incluye lo siguiente: impuestos (el Impuesto de Transmisiones Patrimoniales, I.V.A. o A.J.D., en su caso), otros gastos de la compraventa (gastos de registro de la propiedad, notaría, gestoría). Documento D.I.A. a disposición del consumidor según Decreto 218/2005 Junta de Andalucía Y Ley 12/2023, de 24 de mayo, por el Derecho a la Vivienda.
Honorarios de gestión al comprador no incluido en el P.V.P.

letzte Änderung

Aufteilung

  • Fläche 850 m2
Inserat: 23193000000325

Lage

Arco Norte - Avda España Dos Hermanas 4

Karte anklicken, um sich darauf zu bewegen
Sollen wir Ihnen mitteilen, wenn ein Inserat wie dieses veröffentlicht wird? Legen Sie Ihre Benachrichtigungen an und wir informieren Sie per E-Mail über neue und geänderte Inserate
 

Kontaktieren ATAPI INMOBILIARIA

Referenz der Anzeige habitaclia/P0140295:

Die Telefonnummer wird angezeigt after sending your contact to the announcer to attend you.
Die Telefonnummer wird nach Kontakt angezeigt
Sending...