Favorito y comentario
Wohngrundstück in avenida de lugo 10 in Coiro Cangas
Main characteristics
- 1.209 m2
- 333 €/m2
Detailed information
¡Oportunidad única en Cangas, Pontevedra!
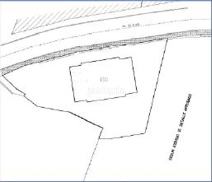
Ponemos a la venta una parcela excepcional ubicada en Av. De Lugo, 14. Esta finca registral 3082 cuenta con una superficie de 1.200 m² según registro y 1.209 m² según catastro, ofreciendo un amplio espacio para tus proyectos. Clasificada como Suelo Urbano Consolidado bajo la ordenanza URTA, esta propiedad es ideal tanto para uso residencial de 2ª categoría como para usos terciarios.
Con una edificabilidad de 1.680 m²t, esta parcela permite la construcción de hasta 18 viviendas orientativas en un máximo de 4 plantas. Además, su ubicación en pleno núcleo urbano garantiza acceso a todos los servicios esenciales: agua, luz, alcantarillado, gas natural, alumbrado público y aceras. La versatilidad del terreno permite también usos compatibles como hotelero, comercial y oficinas, brindando múltiples posibilidades de inversión.
No dejes pasar esta oportunidad de adquirir un terreno con tantas ventajas y potencial en una zona estratégica de Cangas. ¡Contacta con nosotros para más información y haz realidad tu proyecto en este espacio privilegiado!
letzte Änderung
Aufteilung
- Fläche 1209 m2
Gallery
Lage
Coiro Avenida de Lugo 10