Bewertung gespeichert!
Diese Info sehen nur Sie
Kommentar gespeichert!
Fügen Sie eine bewertung bzw. Einen Kommentar zu dieser Anzeige hinzu. Nurfür Sie sichtbar

Landgut in Almogía

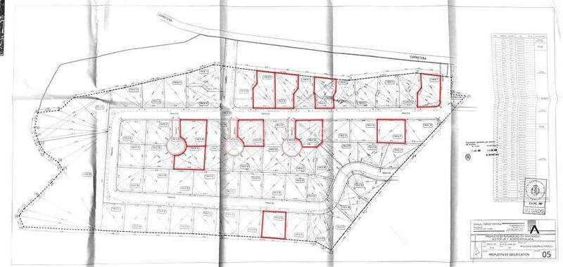
Proyecto de reparcelación de la U. Ejec. Sector UR 1

  • 6.997 m2
  • 31 €/m2

Solvia Inmobiliaria Suelo Urbanizable Almogía

Suelo urbanizable en Almogía, provincia de Málaga.
Fincas resultantes de suelo urbanizable (hoy suelo rústico con ATU delimitada) de uso residencial para viviendas unifamiliares aisladas, situadas a las afueras de Almogía, pendientes de urbanización. Participación no mayoritaria (19). Sector ordenado por Plan Parcial, con fincas resultantes inscritas y Proyecto de Urbanización aprobado en 2007, que deberá ser actualizado. Cuatro de las fincas tienen una participación en tres viales privados de la urbanización, vinculados ob rem. Se localizan próximo al Campo Municipal Manuel Sáchez Ruiz, con buenos accesos mediante la carretera MA-3403. En un entorno cercano dispone de equipamientos variados, restaurantes, supermercados, centros deportivos, etc.
Con nuestros servicios podrá conocer las posibilidades reales de este solar y valorar sus posibilidades de inversión. Empiece ahora mismo pidiendo más información. Un responsable cercano a usted le atenderá personalmente.

letzte Änderung

Aufteilung

  • Fläche 6997 m2
Inserat: 49646000045879

Lage

Proyecto de reparcelación de la U. Ejec. Sector UR 1

Karte anklicken, um sich darauf zu bewegen
Sollen wir Ihnen mitteilen, wenn ein Inserat wie dieses veröffentlicht wird? Legen Sie Ihre Benachrichtigungen an und wir informieren Sie per E-Mail über neue und geänderte Inserate
 

Kontaktieren Solvia inmobiliaria

Referenz der Anzeige habitaclia/C1-24751-0001:

Die Telefonnummer wird angezeigt after sending your contact to the announcer to attend you.
Die Telefonnummer wird nach Kontakt angezeigt
Sending...